アメリカの管制官のサービス精神のお話をもう一つ。
ある日やることもなく空港のクラブハウスへぶらりと出かけた。
そしたら良く一緒に飛ぶパイロット仲間の友人がいた。
(彼は現在某大手航空会社の現役のライン・パイロット)
聞くと彼も暇で クラブハウスへぶらりと来たらしい。
そんな二人を見て後輩が
今日 サンノゼ・アリーナでマドンナのコンサートがありますよね~
『 お二人は行かないんですか? 僕はチケット取れませんでした 』
と話しかけてきた。行きたかったがもう今日の今日ではチケットが取れるはずも無い。
ふと、 コンサート、上から見ようか? と思いつき友人にもちかけた。
のりのいい友人も大賛成で 早速準備に。
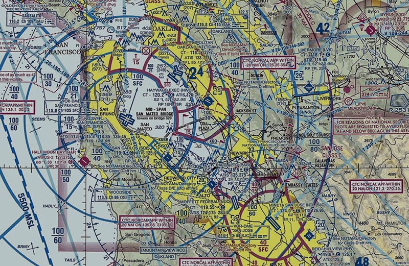
しかし サンノゼ・アリーナはサンノゼ・インターナショナル空港、モフェット・エアフィールド、パロアルト空港の管制圏が重なり合っていて管制官とのやり取りが大変なところ。
しかもその圏内で軽飛行機をうろうろさせるのだから管制官も嫌がって他へ行けと追いやられる可能性がある。

どうしようか~ と弱気になっていたら
教官が 管制塔に電話して計画を話してみたらどうだ とのこと。
早速 サンノゼ・インターナショナル空港の管制室へ電話。
『 あの~ 今日のマドンナのコンサート上から見たいんですが… 』
そしたら電話に出た管制官、
『 面白そうだな~(笑) 協力するよ。 何時に離陸する? コースは? 高度は? 何分くらい上から見るつもり? 』
と聞いてきた。
やった~!! 流石 アメリカ! 許可が出る。
小躍りしながら 質問に答えると 管制官はコールサインを指示してきた。
『 じゃあコールサインを 『マドンナ』にしてね、関係空港、施設にすべて連絡しておくから。
離陸したらすぐ『マドンナ』でサンノゼ・インターナショナルのタワーとコンタクトしてよ。じゃあ、ENJOY!! 』
ときた。
それから3時間後 僕たちはマドンナのコンサートをその150m上空から楽しんだ。
もちろんそんな上からはマドンナ自身を見ることも確認することも出来なかったが、
その状況にとても満足した。( なんと! 音は聞こえたんだよ )



Add comment